Más Información

Reforma electoral, sin acuerdo aún con el PT y Verde: Monreal; asegura que Morena "respaldará en todo" la iniciativa

Suspenden Fase 1 de Contingencia Ambiental en el Valle de México; viento permite dispersión de contaminantes

SEP pide a Marx Arriaga entregar unidad a su sucesora Nadia López; este es el oficio íntegro sobre su destitución

Con cuadro de su tocayo, Marx deja la oficina de la SEP y toma el Metro; niega moches y malos tratos a trabajadores

Fiscalía de Zacatecas confirma que Ángela Aguilar y Christian Nodal presenciaron enfrentamiento armado; "ellos no fueron el blanco", aclara
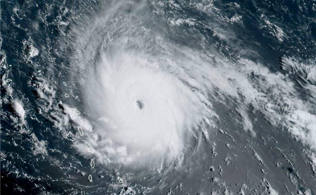
El huracán Irma
subió hoy a categoría 5 , la máxima en la escala de intensidad Saffir-Simpson, mientras continúa su desplazamiento rumbo a las Antillas Menores , en el Caribe , informó el Centro Nacional de Huracanes (NHC) de Estados Unidos .
El "peligroso" huracán Irma, el cuarto de la temporada ciclónica en el Atlántico , presenta vientos máximos sostenidos de 150 millas por hora (240 km/h) y se encuentra a 320 millas (515 kilómetros) al este de las islas de Sotavento (Antillas Menores).
Se desplaza hacia el oeste con una velocidad de traslación de 14 millas por hora (22 km/h), indicó el NHC en un boletín especial.
Más Información
Noticias según tus intereses
ViveUSA
[Publicidad]


















