Más Información

EU sanciona a individuos y entidades ligados a Cártel de Sinaloa; es por lavado de dinero para el grupo criminal

Cae por extorsión Agustín Toledano, presidente municipal de Atlatlahucan; reportan detención de tres personas más
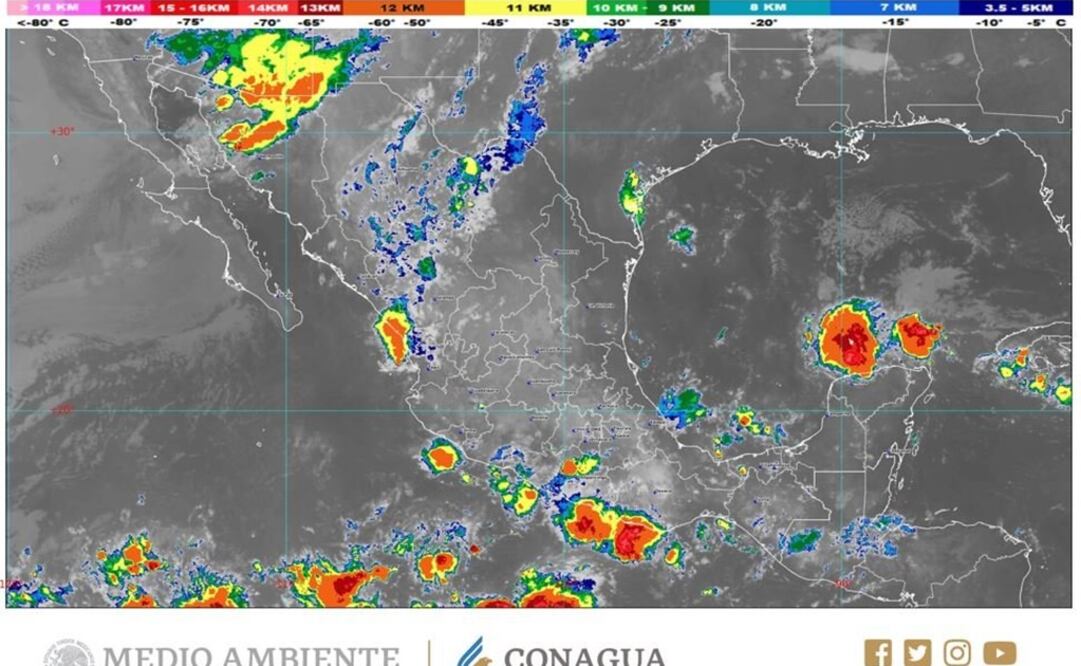
El primer frente frío de la temporada ocasionará este martes vientos de más de 60 kilómetros por hora (km/h) en áreas de Baja California, Sonora, el Golfo de California y Sinaloa, y precipitaciones que irán de chubascos a muy fuertes en 31 entidades de la República Mexicana.
De acuerdo con el Servicio Meteorológico Nacional (SMN), se espera lluvias puntuales muy fuertes en Sonora, Durango, Sinaloa, Nayarit, Jalisco, Colima, Michoacán, Oaxaca, Chiapas, Puebla y Veracruz.
Así como precipitaciones fuertes en zonas de Chihuahua, Coahuila, Guerrero, Estado de México, Ciudad de México, Morelos, Tabasco, Campeche, Yucatán y Quintana Roo.
Y chubascos en Baja California Sur, Baja California, Nuevo León, Tamaulipas, Zacatecas, Hidalgo y Tlaxcala, y lluvias aisladas en San Luis Potosí, Guanajuato y Querétaro.
El frente frío número 1 se ubicará en la frontera noroeste del país, asociado con inestabilidad de la atmósfera en altura, la zona de inestabilidad con probabilidad ciclónica ubicada en el Golfo de México y asociada con un canal de baja presión extendido en el sureste del territorio nacional.
Este martes se espera otro canal de baja presión localizado en la Sierra Madre Occidental y otra zona de inestabilidad con probabilidad de desarrollo ciclónico ubicada en el Océano Pacífico.
En cuanto a temperaturas, durante la mañana se estiman valores de 0 a 5 grados Celsius en sierras de Baja California, Durango, Estado de México, Puebla, Tlaxcala, Oaxaca y Veracruz.
En contraste se prevén temperaturas vespertinas de 35 a 40 grados Celsius en sitios de Coahuila, Baja California, Baja California Sur, Sonora, Sinaloa, Nuevo León, Tamaulipas, San Luis Potosí, Nayarit, Oaxaca, Chiapas, Veracruz, Tabasco, Campeche, Yucatán y Quintana Roo.
En su pronóstico por regiones, el organismo de la Comisión Nacional del Agua (Conagua) indicó que la Península de Baja California presentará este día cielo medio nublado con intervalos de chubascos en la región.
Ambiente caluroso y viento de dirección variable de 10 a 25 km/h en Baja California y vientos del sureste de 30 a 40 km/h con rachas superiores a 60 km/h en Baja California.
El Pacífico Norte mantendrá cielo nublado con lluvias muy fuertes acompañadas de descargas eléctricas en Sonora y Sinaloa.
Ambiente caluroso y viento de componente sur de 35 a 45 km/h con rachas superiores a 60 km/h.
En el Pacífico Centro el cielo permanecerá nublado por la tarde con lluvias puntuales muy fuertes en la región, las cuales se acompañarán de descargas eléctricas y posible caída de granizo .
Ambiente cálido durante el día y viento de componente oeste de 10 a 25 km/h con rachas superiores a 40 km/h.
Se estima para el Pacífico Sur cielo nublado con bancos de niebla en zonas de montaña durante la mañana, por la tarde se prevén lluvias puntuales muy fuertes en Oaxaca y Chiapas, acompañadas de descargas eléctricas y posibles granizadas, así como lluvias fuertes en Guerrero.
Ambiente caluroso durante el día y viento de dirección variable de 15 a 30 km/h con rachas superiores a 40 km/h.
El Golfo de México mantendrá cielo medio nublado por la mañana, incrementando los nublados hacia la tarde con lluvias puntuales muy fuertes en Veracruz, fuertes en Tabasco e intervalos de chubascos en Tamaulipas, todas acompañadas de descargas eléctricas y rachas de viento.
Ambiente cálido durante el día y viento del este y sureste de 10 a 25 km/h con rachas que pueden superar los 40 km/h en zonas de tormenta.
La Península de Yucatán espera cielo medio nublado con incremento de nublados para la tarde, así como lluvias puntuales fuertes en la región, las cuales se acompañarán de descargas eléctricas.
Ambiente caluroso y viento de componente este de 10 a 25 km/h con rachas de 40 km/h.
En la Mesa del Norte el pronóstico es de cielo nublado por la tarde con lluvias puntuales muy fuertes en Durango, fuertes en Chihuahua y Coahuila, así como intervalos de chubascos en Nuevo León y Zacatecas, todas acompañadas de descargas eléctricas.
Ambiente caluroso y viento del este 15 a 30 km/h con rachas que pueden superar los 40 km/h.
Para la Mesa Central se prevé cielo nublado por la tarde con lluvias muy fuertes en Puebla, fuertes en Morelos e intervalos de chubascos en Hidalgo y Tlaxcala, las cuales estarán acompañadas de descargas eléctricas.
Viento del este y noreste de 10 a 25 km/h con rachas de 40 km/h.
Noticias según tus intereses
[Publicidad]
[Publicidad]










