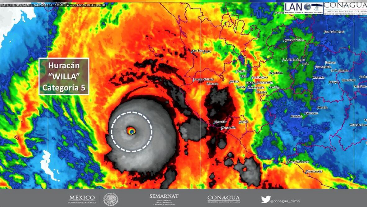
El huracán “Willa”
se ha convertido en una tormenta potencialmente catastrófica de categoría 5 en el océano Pacífico oriental y tiene un rumbo que pudiera llevarle a tocar tierra en un tramo de la costa mexicana entre Mazatlán y Puerto Vallarta en los próximos días.
El Centro Nacional de Huracanes , con sede en Miami, informó el lunes que se prevé que “Willa” se debilite un poco antes de tocar tierra el martes por la noche. Agregó que es muy probable que sea un huracán peligroso cuando impacte el territorio mexicano .
Los gobiernos de los estados de Sinaloa y Nayarit suspendieron las clases el lunes en la región costera de las entidades y comenzaron a acondicionar los albergues de emergencia antes de la llegada de la tormenta.
El centro dijo el lunes por la mañana que “Willa” podría “provocar una marejada ciclónica, vientos y tormentas letales en algunas partes del suroeste y centro-oeste de México a partir del martes”.
Pronosticó que “Willa” se convertiría en un huracán de categoría 5 el lunes por la tarde, generando condiciones de marea peligrosas.
Una advertencia de huracán estaba en vigor para la costa de México entre San Blas y Mazatlán, incluidas las islas Marías, una reserva natural y prisión federal en la que “Willa” podría tener un impacto directo.
Advertencias de tormenta tropical fueron emitidas desde Playa Perula hasta San Blas y desde Mazatlán hasta Bahía Tempehuaya.
“Willa” tenía vientos máximos sostenidos de 260 kilómetros por hora (160 mph) el lunes por la mañana. Se ubicaba a unos 215 kilómetros (135 millas) al sur-suroeste de Cabo Corrientes. Se movía al norte a 11 km/h (7 mph).
Sus vientos con fuerza de huracán se extendían 45 kilómetros (30 millas) desde su ojo y los de tormenta tropical se alargaban hasta 150 kilómetros (90 millas).
El Centro de Huracanes indicó que es probable que “Willa” arroje de 15 a 30 centímetros (6 a 12 pulgadas) de lluvia en el oeste de los estados de Jalisco y Nayarit y el sur del de Sinaloa. Agregó que algunos lugares podrían recibir hasta 46 centímetros (18 pulgadas). También advirtió del peligro de las inundaciones repentinas y aludes en las zonas montañosas.
Más al sur en el océano Pacífico, la tormenta tropical Vicente se debilitó, pero se pronosticaba que provocara fuertes lluvias e inundaciones en algunas partes del sur y suroeste de México.
Noticias según tus intereses
[Publicidad]
[Publicidad]












