Las Islas Bahamas se aprestan para recibir el domingo el impacto del huracán “Dorian” , de categoría 4, que luego se espera que enfile rumbo la costa sureste de Estados Unidos .
El Centro Nacional de Huracanes (NHC) con sede en Miami , advirtió que se espera que el potente ciclón impacte duramente en el noreste de las Bahamas .
En su boletín de las 21:00 GMT, el NHC agregó que "Dorian" "permanecerá como huracán extremadamente peligroso durante cinco días" , aunque indicó que luego de su viraje, no está claro cuándo y con qué intensidad impactará en la costa de Estados Unidos .
En efecto, los meteorólogos habían dado cuenta más temprano de un cambio de curso del huracán y "que la nueva ruta pronosticada no excluye que 'Dorian' toque tierra en la costa de Florida , ya que grandes porciones de la costa permanecen en el cono de la incertidumbre".
No obstante, se espera que el fenómeno siga avanzando hacia el oeste y gire hacia el norte, hacia Carolina del Sur y Carolina del Norte , a medida que se acerque a la costa este de Florida el lunes, dijo el centro.
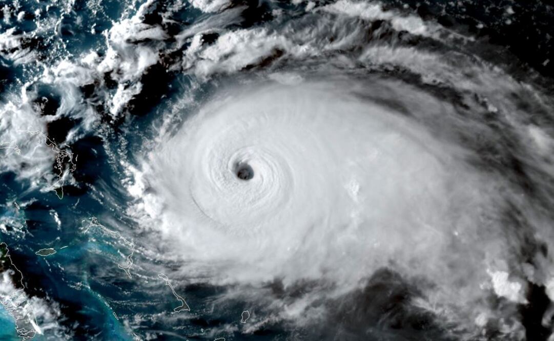
En Gran Bahama, miles de personas evacuaron las zonas donde se espera impacte "Dorian", que conlleva vientos de 240 km/h, con ráfagas incluso más fuertes, con lo que está próximo a alcanzar la categoría 5, la máxima de la escala Saffir-Simpson.
Yasmin Rigby, residente de Freeport, principal ciudad de la isla, dijo a AFP que "la gente se está yendo de los extremos este y oeste, temiendo lo peor".
Los escaparates de los comercios estaban "ya casi vacíos" y desde el viernes las casas y comercios estaban prácticamente cerrados.
El primer ministro de Bahamas , Hubert Minnis, advirtió el viernes a los ciudadanos que afrontarán un "huracán poderoso y potencialmente mortal", e instó a desalojar el área.
Minnis dijo en una conferencia de prensa que la tormenta era potencialmente fatal.
"Quienes se niegan a evacuar se encuentran en un gran peligro... No pongan su vida y la de sus seres queridos en un riesgo innecesario".
Con la ruta de la tormenta aún incierta, los residentes costeros de Florida no tienen órdenes de evacuación, pero se abastecen de alimentos, agua y otros suministros, preparándose para huir de sus hogares.
El gobernador de Florida, Ron DeSantis, también urgió el viernes a los residentes a prepararse para un "evento de varios días". "Estamos anticipando una gran cantidad de inundaciones", dijo.
"Instamos a todos los floridanos a que tengan siete días de alimentos, medicinas y agua".
La Guardia Nacional de Florida dijo que unos 2 mil miembros del servicio se habían movilizado hasta el momento y otros 2 mil se desplegarán este sábado.
El presidente Donald Trump , cuyo club de golf Mar-a-Lago se encuentra en Palm Beach en Florida , dijo que "Dorian" "parecía que podría ser un monstruo absoluto" y canceló un viaje a Polonia para concentrarse en los preparativos para la tormenta .
"Se está moviendo y es muy difícil de predecir", dijo Trump en un tuit este sábado, señalando que Georgia , Carolina del Sur y Carolina del Norte ahora podrían estar en primera línea.
"Es uno de los más grandes y fuertes (y realmente amplios) que hemos visto en décadas. ¡Cuídense! ", escribió.
Trump declaró un estado de emergencia en Florida , autorizando asistencia federal para complementar los esfuerzos estatales y locales.
Georgia
, otro estado del sudeste que podría estar en el camino de la tormenta, declaró estado de emergencia para 12 condados.
etp
Más Información
Noticias según tus intereses
ViveUSA
[Publicidad]























