
El meteoro mantiene el potencial de lluvias muy fuertes en Jalisco, Michoacán y Guerrero, fuertes en Colima y de menor intensidad en Nayarit y Sinaloa

El meteoro mantiene el potencial de lluvias muy fuertes en Jalisco, Michoacán y Guerrero, fuertes en Colima y de menor intensidad en Nayarit y Sinaloa

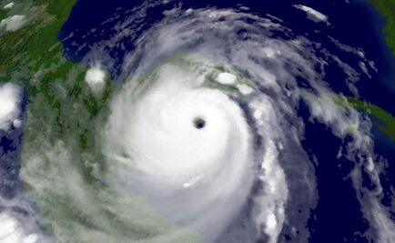
Sinaproc emite alerta para ocho estados y la Isla Socorro; mantienen vigilancia permanente del ciclón

Dicho ciclón se ubica en aguas del Océano Pacífico y es el segundo que se forma en la actual temporada de ciclones 2015

Para el domingo, el ciclón podría acercarse a unos 205 kilómetros de la costa de Cabo San Lucas, provocando lluvias al menos en la parte sur de la península

El Centro Nacional de Huracanes de Estados Unidos dijo esperar que la tormenta se convirtiera en un fuerte huracán hacia el final del miércoles o el jueves temprano

El ciclón se aleja al oeste-noroeste; mientras que la tormenta tropical 'Blanca' permanece como estacionaria en aguas del Océano Pacífico

Ese ciclón es el segundo que se forma en el Océano Pacífico en la actual temporada de lluvias 2015

El fenómeno meteorológico se desplaza al oeste-noroeste a 22 kilómetros por hora y en su interacción con el aire húmedo del océano Pacífico ocasionará precipitaciones en Jalisco, Michoacán y Guerrero

Para esta temporada se pronostican 26 ciclones tropicales

Para esta temporada se pronostican 26 ciclones tropicales, 19 en el Océano Pacífico y 7 en el Océano Atlántico