Más Información

Senadores del PVEM respaldan plan B de Sheinbaum; dicen que hay coincidencias con el "manejo racional de los recursos"

Margo Glantz y Elena Poniatowska conversan sobre literatura, periodismo y feminismo; casi 190 años de historia viva en Coyoacán

¿Quiénes recibían pensiones doradas?; exfuncionarios de Luz y Fuerza, Pemex y CFE encabezan la lista con pagos millonarios

¡Alista el paraguas y la chamarra! Entrada del Frente Frío 41 provocará lluvias intensas en 5 estados; también bajarán las temperaturas
Redacción
El pasado 15 de mayo inició oficialmente la temporada de lluvias y ciclones 2015. Para el Océano Pacífico se pronostican 19 fenómenos hidrometeorológicos y para el Atlántico siete.
De los 19 ciclones previstos en el Pacífico, se estima que ocho sean tormentas tropicales y 11 huracanes (siete fuertes y cuatro intensos), de acuerdo con la Comisión Nacional del Agua (Conagua).
En el caso del Océano Atlántico, se prevén siete ciclones con nombre: cuatro tormentas tropicales y tres huracanes (uno intenso y dos fuertes).
La temporada de ciclones en el Pacífico Nororiental (Costas de México) abarca del 15 de mayo al 30 de noviembre; mientras que en el Océano Atlántico, que incluye el Golfo de México y el Mar Caribe, se extiende del 1 de junio al 30 de noviembre.
Conoce estos términos, algunos asociados a la temporada de lluvias y ciclones:
GLOSARIO
¿Qué es un ciclón?
Según información de la Conagua, un ciclón tropical es un remolino de agua y viento con un centro de baja presión rodeado por bandas nubosas en forma de espiral que giran a su alrededor, en sentido contrario a las manecillas del reloj en el Hemisferio Norte.
El fenómeno surge de la interacción océano-atmósfera y puede cubrir miles de kilómetros cuadrados, su fuerza es considerada como una de las más peligrosas y destructivas.
Según la intensidad de sus vientos, un ciclón se clasifica en:
1. Perturbación Tropical:
Es una zona de inestabilidad atmosférica asociada a la existencia de un área de baja presión, la cual propicia vientos en superficie ligeros
2. Depresión Tropical:
Los vientos se incrementan en la superficie debido a la existencia de una zona de baja presión; alcanzan una velocidad sostenida menor o igual a 62 kilómetros por hora.
3. Tormenta Tropical:
Los vientos alcanzan velocidades sostenidas entre los 63 y 118 kilómetros por hora y las nubes se distribuyen en forma de espiral. Cuando el ciclón alcanza esta intensidad se le asigna un nombre preestablecido por la Organización Meteorológica Mundial.
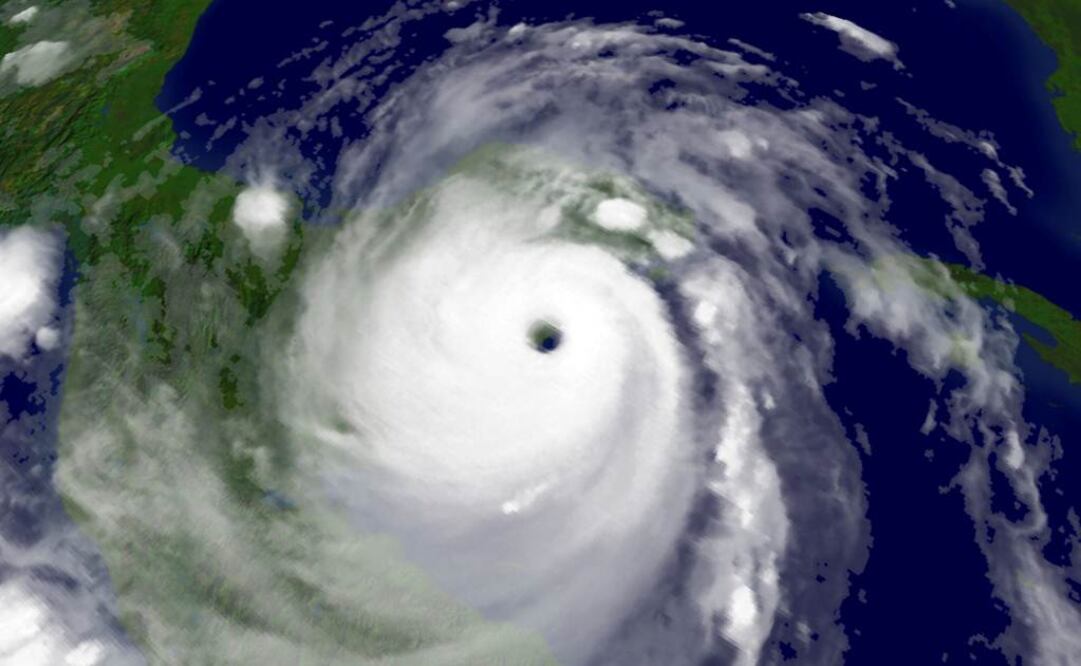
4. Huracán:
Es un ciclón tropical cuyos vientos máximos sostenidos alcanzan o superan los 119 kilómetros por hora. El área nubosa cubre una extensión entre los 500 y 900 km de diámetro, produciendo lluvias intensas. El ojo del huracán alcanza normalmente un diámetro que varía entre 24 y 40 km, sin embargo, puede llegar hasta cerca de 100 km. En esta etapa el ciclón se clasifica por medio de la escala Saffir-Simpson, que abarca cinco categorías:
- Uno.-119 a 153 km/hr
- Dos.- 154 a 177 km/hr
- Tres.- 178 a 208 km/hr
- Cuatro.- 209 a 251 km/hr
- Cinco.- 252 km/hr o mayores
De acuerdo con el Servicio Meteorológico Nacional (SMN), en nuestro país, de 1970 a 2014, los estados con más impactos de ciclones tropicales fueron Baja California Sur con 44; Sinaloa, 41; Quintana Roo, 39; Veracruz, 37; Tamaulipas, 34; Michoacán y Jalisco, 30; Colima y Guerrero, 27; Campeche y Chiapas 24; Yucatán y Oaxaca 21, y Sonora y Nayarit, 20.
¿Qué es el fenómeno de El Niño y La Niña?
"El Niño" es un calentamiento en la superficie del mar que sucede en aguas del Océano Pacífico y aunque su ocurrencia no es periódica, a partir de diversas investigaciones se ha podido establecer que exhibe un ciclo irregular de dos a siete años, según señala el Servicio Meteorológico Nacional (SMN).
Añade que originalmente el calentamiento en la temperatura superficial del mar (TSM) se observaba cercano al periodo Navideño (de ahí el nombre de "El Niño", asociado a El Niño Jesús).
Actualmente, este fenómeno natural se conoce como El Niño-Oscilación del Sur o ENOS y tiene tres fases: Cálida (El Niño), Fría (La Niña) y Neutral, siendo esta última la fase donde el océano se comporta de manera normal, mientras que en el fenómeno de La Niña, el océano se enfría mucho más que lo normal.
¿Qué es un tornado y qué es una tromba?
De acuerdo con la Comisión Nacional del Agua, un tornado es la perturbación atmosférica más violenta en forma de remolino que se forma a partir de una nube cumulonimbus, de extraordinario desarrollo resultado de una excesiva inestabilidad, provoca un intenso descenso de la presión en el centro del fenómeno y fuertes vientos que circulan en forma ciclónica.
Mientras que una tromba es un fenómeno similar a un tornado, sólo que éste se forma en la zona costera o en el mar.
¿Qué es el Mar de Fondo?
El "Mar de Fondo" es un fenómeno natural que provoca grandes desplazamientos de aguas oceánicas hacia las costas, provocando alto e intenso oleaje, marejadas, aumento en el nivel del mar y reducción del área de playa.
En julio de 2014, un despacho de la agencia Notimex informó que este oleaje es generado por tormentas en el mar acompañadas de fuertes vientos.
Con información del Servicio Meteorológico Nacional, Conagua y Notimex
spb
Noticias según tus intereses
[Publicidad]
[Publicidad]










