Más Información
[Publicidad]
Un nuevo avance científico nos ha hecho un poco menos ignorantes sobre el planeta Tierra.
Los investigadores que trabajan en la creación de un mapa global del fondo del océano dicen que ya han completado una quinta parte de esta tarea.
Estos científicos pertenecen al proyecto Nippon Foundation-GEBCO Seabed 2030.
GEBCO son las iniciales en inglés de Mapa Batimétrico General de los Océanos. El termino batimétrico se refiere al estudio de las profundidades marinas.
GEBCO es la única organización intergubernamental con el mandato de mapear todo el suelo marino.
Cuando el proyecto se lanzó en 2017, solo el 6% del fondo oceánico global había sido sondeado con los estándares modernos.
En 2019 se había llegado hasta el 15%, cuando se incluyeron los datos batimétricos de 14,5 millones de kilómetros cuadrados, un área equivalente a casi el doble que Australia.
Ahora los investigadores afirman que han logrado mapear el 19% del fondo marino.
Queda, sin embargo, un 81% del planeta pendiente por mapear y la meta es lograrlo en 2030.
"Esa es un área aproximadamente el doble del tamaño de Marte que tenemos que capturar en la próxima década", le dijo a la BBC Jamie McMichael-Phillips, director del proyecto.
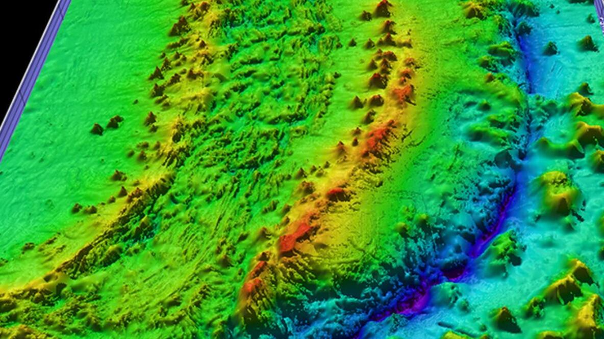
Qué muestra el mapa
En el mapa que está al principio de este artículo, el negro representa aquellas áreas donde aún no se ha sondeado directamente el fondo marino para conocer sus características.
El azul corresponde a la profundidad del agua: el púrpura corresponde a las zonas más profundas y el azul claro a las menos profundas.
Las áreas negras, sin embargo, no significan que sean zonas de las que no se tenga información.
Varias naves espaciales llevan instrumentos que pueden inferir la topografía del fondo marino por la forma en que la gravedad esculpe la forma del agua.
Esta técnica, sin embargo, solo ofrece una buena resolución a más de un kilómetro. El proyecto Seabed 2030 quiere lograr un resolución de al menos 100 metros.
¿Para qué sirve el mapa?
Se necesitan mejores mapas del fondo marino por muchas razones.
Son esenciales para la navegación, por supuesto, y para tender cables y tuberías bajo el agua.
También son importantes para la gestión y conservación de la pesca, porque es alrededor de las montañas submarinas donde la vida silvestre tiende a congregarse.
Cada monte submarino es un foco de biodiversidad.
Además, el accidentado fondo marino influye en el comportamiento de las corrientes oceánicas y la mezcla vertical del agua.
Esta es información clave para mejorar los modelos que pronostican el cambio climático, porque son los océanos los que juegan un papel crítico en el movimiento del calor alrededor del planeta.
Un buen mapa del fondo oceánico es imprescindible para comprender con precisión cómo se elevará el nivel del mar en diferentes partes del mundo.
Gran parte de los datos que se han ingresado a la red de GEBCO ya existían pero estaban guardados fuera del dominio público.
Las empresas, instituciones y gobiernos que tenían esta información ahora la han entregado, y probablemente aún queda mucho por revelar a partir de este insumo.
Pero también se requerirán nuevas adquisiciones. Algunas de estas vendrán de un gran esfuerzo de colaborativo por parte de barcos, grandes y pequeños, que operan rutinariamente su equipo de sondeo mientras transitan por el mundo.
Incluso embarcaciones pequeñas, como barcos de pesca y yates, pueden ayudar conectando registradores de datos a su sonar y equipos de navegación.
Un buen ejemplo es la estrategia del Sondeo Antártico Británico (BAS, por sus siglas en inglés), que opera en las zonas más remotas del planeta mezclando las rutas que toman los barcos.
"Muy pronto adoptamos el ethos de que los datos deberían recopilarse durante el trayecto, no solo en el sitio de interés", explicó el científico de BAS, Rob Larter.
"Un hermoso ejemplo de esto es el reciente mapa batimétrico del área del Pasaje Drake (entre América del Sur y la Antártica), mucho del cual se logró a partir de diferentes proyectos de investigación, a medida que iban y venían de sus destinos”.
Ocean Infinity, una importante empresa de Reino Unido y Estados Unidos que realiza estudios del fondo marino, está construyendo una flota de buques robóticos a través de una subsidiaria llamada Armada.
El futuro del mapa
La nueva tecnología será fundamental para GEBCO.
Dan Hook, gerente de Armada, dice que los vehículos de bajo costo y sin tripulación quizás sean la única forma de llenar los vacíos del mapa en los lugares más apartados.
"Cuando miras el mapeo del fondo marino en áreas más cercanas a la costa, rápidamente ves la justificación desde el punto de vista de negocios”, le dice Hook a la BBC.
“Ya sea para plantas eólicas o tendido de cables, hay muchas personas que quieren saber qué está pasando allí. Pero cuando se trata de áreas remotas, el interés es netamente científico".
Jamie McMichael-Phillips confía en que se pueda cumplir el objetivo de su proyecto si todos trabajan juntos.
"Tengo confianza, pero para hacerlo necesitaremos alianzas. Necesitamos gobiernos, necesitamos industria, necesitamos académicos, necesitamos filántropos y necesitamos científicos ciudadanos”, dice Phillips.
“Necesitamos que todas estas personas se unan si queremos entregar un mapa oceánico que es absolutamente fundamental y esencial para la humanidad".
https://www.youtube.com/watch?v=8urGTdEioOQ
Noticias según tus intereses
[Publicidad]











