Logo eluniversal
  • MXM
  • VIDEOS
  • PODCAST
  • NEWSLETTERS
  • JUEGOS
  • CONSULTAS
Imagen sala plus
Edicion Impresa
Edicion Impresa
Logo eluniversal
×
SeccionesEl UniversalNuestros SitiosMultimedia

Servicios

Club El Universal

Club El Universal

Descubre y Compra

Descubre y Compra

Aviso Oportuno

Aviso Oportuno

Empleos

Empleos

mapeo digital

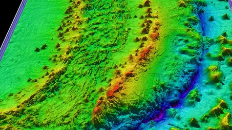
Qué muestra el proyecto del mapeo digital del fondo marino
Techbit26/06/2020

Qué muestra el proyecto del mapeo digital del fondo marino

Un equipo de investigadores tiene la tarea de mapear el suelo de los océanos. El proyecto tiene interés científico y comercial, pero también es clave para el futuro de la vida en la Tierra

Anterior

1 de 1

Siguiente

[Publicidad]

Lo último

13:33

Sindicato petrolero destaca avance en soberanía energética; apuesta por la transición hacia energías limpias

13:32

Checo Pérez y Cadillac, con complicaciones en primera práctica del GP de Miami

13:31

Hacienda destaca ratificación de nota crediticia de DBRS a México; permitirá que el país siga accediendo a mercados financieros, dice

13:29

Arranca entrega de Beca Rita Cetina; beneficia a casi 10 millones de alumnos de primaria, destaca SEP

13:13

Vinculan a proceso a ocho policías de Pénjamo, Guanajuato; colaboraron con un grupo de asesinos

[Publicidad]

SECCIONES
  • Nación
  • Corte 2.0
  • Mujeres a seguir
  • Periodismo de investigación
  • El Uni Explica
  • Gabinete de Sheinbaum
  • Mundo
  • Donald Trump
  • Metropoli
  • Estados
  • Narcotráfico
  • Opinión
  • Cartones
  • Economía
  • Universal Deportes
  • Espectáculos
  • Cultura
  • Confabulario
  • Tendencias
  • Ciencia y Salud
  • MXM
  • Techbit
  • Menú
  • De última
  • Destinos
  • Autopistas
  • Consultas
SUPLEMENTOS
  • Clase
  • Techbit
  • Menú
  • De Última
  • Destinos
  • Autopistas
  • Tiempo de Relojes
VERTICALES
  • Descubre y Compra
  • Folletos y Ofertas
  • Aviso Oportuno
  • Empleos
  • Obituarios
  • Generación Universitaria
  • El Gráfico
  • De10sports
  • DeDinero
  • ViveUSA
  • Juegos
  • Pasatiempos
  • Horóscopo
  • Resultados de lotería
LOCALES
  • Edomex
  • Oaxaca
  • Puebla
  • Hidalgo
  • Querétaro
  • San Luis Potosí

REDES SOCIALES

Logo eluniversal
SUSCRÍBETE
Logo Plus El UniversalLogo GDA El Universal

Miembro del Grupo de Diarios de América

NUESTRAS APPS
El Universal iOSEl Universal AndroidEl Universal Huawei
  • Directorio
  • Consejo Editorial Consultivo
  • Código de ética
  • Violencia
  • Publicidad
  • Aviso de Privacidad
  • Historia
  • Declaración de Accesibilidad
  • Términos y condiciones
  • Contacto

Copyright © Todos los derechos reservados | EL UNIVERSAL, Compañía Periodística Nacional. De no existir previa autorización, queda expresamente prohibida la Publicación, retransmisión, edición y cualquier otro uso de los contenidos. | Este sitio está protegido por reCAPTCHA y se aplican la Política de privacidad y los Términos de servicio de Google.