
El huracán se mueve a 2 km/h, más lento que la velocidad a la que camina un ser humano promedio. ¿A qué se debe esto?

El huracán se mueve a 2 km/h, más lento que la velocidad a la que camina un ser humano promedio. ¿A qué se debe esto?

Las autoridades de Florida ordenaron evacuaciones obligatorias en más condados de la costa este del estado y hay 110 refugios abiertos como parte de los preparativos para la llegada del huracán

Desesperación en Bahamas por huracán Dorian; hay 5 muertos; Florida se alista para embate

El turismo es su principal fuente de ingresos, con 80% de sus cuatro millones de visitantes al año procedentes de EU; la reina británica Isabel II es la jefa de Estado de Bahamas

“Estamos en medio de una tragedia histórica”, declaró el primer ministro Hubert Minnis, quien señaló que los decesos fueron reportados en las Islas Ábaco

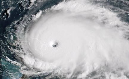
Autoridades de EU utilizaron un avión cazahuracanes para captar las imágenes; la Estación Espacial Internacional también mostró al huracán, ahora de categoría 4, desde el espacio

El mandatario ya aprobó la declaración de emergencia para Florida el viernes pasado ante la proximidad del huracán; con la medida, el gobierno de EU agiliza el desembolso de fondos gubernamentales para desastres

"Aunque un progresivo debilitamiento está previsto, se espera que Dorian se mantenga como un poderoso huracán en los próximos días", informó el Centro Nacional de Huracanes

La escala de Saffir-Simpson funciona de manera similar a la Ritcher, pero en vez de calcular la intensidad de los terremotos, mide la intensidad de huracanes de menos (1) a más (5) en base a la velocidad del viento

A pesar de los cortes de electricidad, los habitantes de Bahamas han compartido en redes sociales fotos del desastre causado por el paso del huracán Dorian, de máxima categoría