Más Información

Avanza en San Lázaro aumento de aranceles a productos chinos y de países sin tratado comercial; incrementos van del 10 al 50%

Eliminan anonimato en líneas celulares; Comisión Reguladora ordena registro obligatorio a partir de enero de 2026

Sheinbaum se reúne con José Medina Mora en Palacio Nacional; asumirá la presidencia del CCE el 10 de diciembre, detalla

EU entregó a México lista con nombres de espías rusos, reporta el NYT; el gobierno mexicano los dejó quedarse, dice

Embajada de EU pide información sobre paradero de Ryan Wedding, exatleta ligado al Cártel de Sinaloa; recompensa es de 15 mdd

Sheinbaum entra a la lista de las 67 personas más elegantes de 2025; The New York Times destaca los bordados mexicanos en su indumentaria
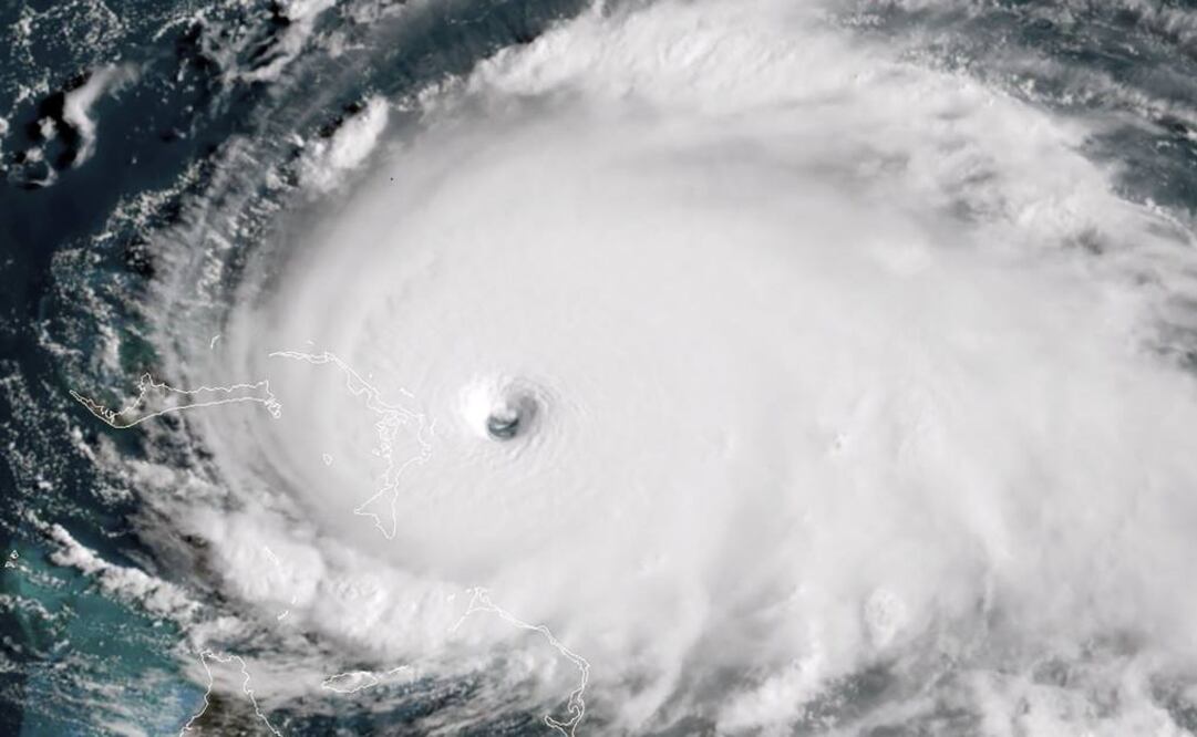
El huracán Dorian, que azota las Bahamas, se debilitó ligeramente el lunes y pasó a categoría 4, pero continúa representando una seria amenaza, informaron autoridades meteorológicas de Estados Unidos.
" Dorian es un huracán extremadamente peligroso de categoría 4 en la escala de Saffir-Simpson", dijo el Centro Nacional de Huracanes , basado en Miami, en su boletín de las 15:00 GMT, precisando que sus vientos pasaron a 250 km/h.
"Aunque un progresivo debilitamiento está previsto, se espera que Dorian se mantenga como un poderoso huracán en los próximos días".
Esto le ha hecho perder la máxima categoría de la escala que mide los ciclones por la intensidad de sus vientos, que llegaron a ser el domingo de 295 km/h, lo que le sitúa como el segundo más poderoso desde que se tiene registro, junto con "Labor Day" (1935), Gilbert (1988) y Wilma (2005) , y solo superado por Allen , que en 1980 registró 305 km/h.
El ciclón sigue prácticamente estático mientras mantiene su rumbo oeste a solo 2 km/h, por lo que no termina de pasar por encima de Bahamas , donde sigue causando estragos.
Especialmente en la isla de Gran Bahama , donde se experimentan "vientos catastróficos" y una subida de la marea de hasta 7 metros sobre el nivel habitual del mar.
Con información de EFE
Más Información
Noticias según tus intereses
ViveUSA
[Publicidad]

















