Más Información

"Traidores a la patria"; colocan lonas contra diputados oaxaqueños que votaron contra reforma electoral

Añorve reporta el asesinato de Claudia Ivett Rodríguez, dirigente del PRI en Guerrero; exige investigación y resultados

Preocupa a Jalisco aparición de policía creada por Lemus en narconómina de “El Mencho”; se hacen revisiones constantes, dice coordinador de seguridad

Guerra en Medio Oriente tendrá efecto corto en México, dice Hacienda; hay mecanismos para proteger combustibles
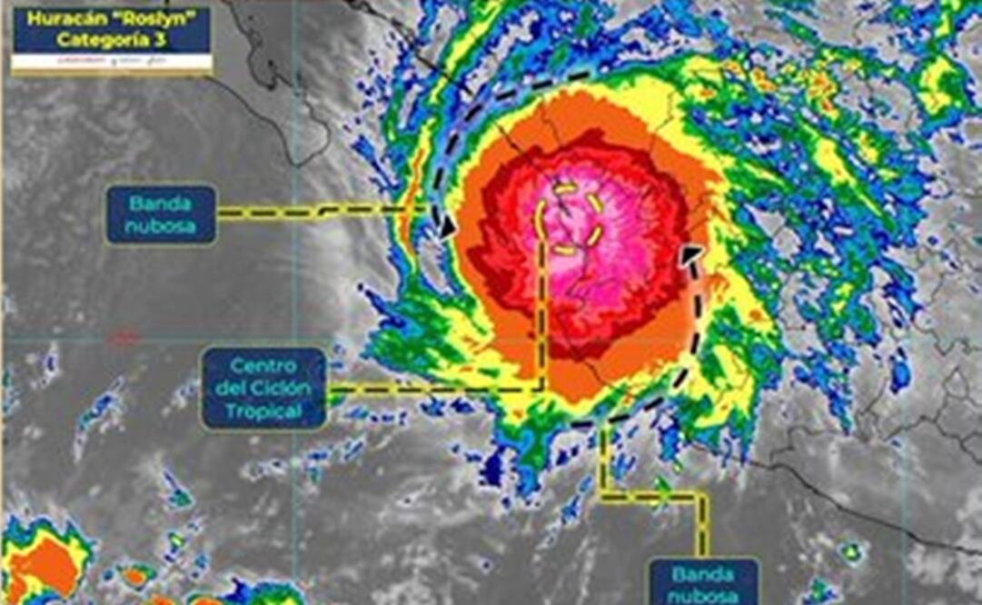
La Comisión Nacional del Agua (Conagua) informó que aproximadamente a las 06:20 horas, el huracán "Roslyn" ingresó a tierra en las inmediaciones de la localidad de Santa Cruz, municipio de Santiago Ixcuintla en Nayarit , como huracán categoría 3 en la escala de Saffir-Simpson, con vientos máximos sostenidos de 195 kilómetros por hora (km/h), rachas de 240 km/h y desplazamiento hacia el nor-noreste a 26 km/h.
A través de un comunicado, la dependencia informó que se prevé que durante su desplazamiento sobre tierra en Nayarit y al sur de Durango se debilite gradualmente.
El huracán ocasionará lluvias torrenciales en Nayarit, intensas en Durango, Jalisco y Sinaloa, muy fuertes en Zacatecas y fuertes en Colima.
Durante la mañana, provocará viento con rachas de 120 a 150 km/h y oleaje de 5 a 7 metros de altura con marea de tormenta en costas de Nayarit y la costa norte de Jalisco; rachas de 100 a 120 km/h y oleaje de 4 a 6 m con marea de tormenta en la costa centro y sur de Jalisco, y rachas de 60 a 80 km/h con olas de 2 a 4 m en costas de Colima y el sur de Sinaloa.
Debido a que las precipitaciones podrían ocasionar deslaves, incremento en los niveles de ríos y arroyos, desbordamientos e inundaciones en zonas bajas, se exhorta a la población a atender los avisos del Sistema Meteorológico Nacional (SMN) de la Conagua , y seguir las indicaciones de las autoridades estatales, municipales y de Protección Civil.
También se hizo un llamado a la navegación marítima a extremar precauciones por condiciones de vientos fuertes y oleaje en zonas costeras.
Lee también: Ni desastres o el Covid hunden al Submarino
Suscríbete aquí para recibir directo en tu correo nuestras newsletters sobre noticias del día, opinión, opciones para el fin de semana, Qatar 2022 y muchas opciones más.
afcl
Noticias según tus intereses
[Publicidad]
[Publicidad]









