Más Información

MC pide explicación por avión militar de EU que aterrizó en Toluca; senado no ha autorizado ingreso de tropas, advierte

Avión militar de EU aterriza en Aeropuerto de Toluca y regresa a base estadounidense; gabinete reporta “vuelo autorizado”

Detienen a Iván Valerio Sainz “El Mantecas”, relacionado al Cártel de Sinaloa; es considerado objetivo prioritario

Se definen finales de Conferencia en la NFL; Patriots vs Broncos, y Rams vs Seahawks, los encuentros
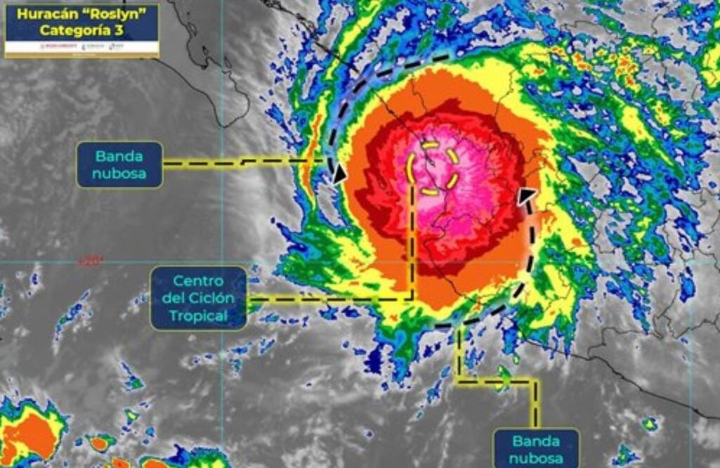
La Comisión Nacional del Agua (Conagua) informó que aproximadamente a las 06:20 horas de este domingo, el huracán "Roslyn" ingresó a tierra en las inmediaciones de la localidad de Santa Cruz, municipio de Santiago Ixcuintla en Nayarit, como huracán categoría 3.
Minuto a Minuto el paso del huracán “Roslyn”
Sigue Minuto a Minuto el paso del huracán “Roslyn” por territorio nacional.
13:58 Huracán “Roslyn” se degrada a tormenta tropical ; se esperan lluvias intensas en Durango, Nayarit y Sinaloa
13:52 “Roslyn” deja dos muertos en Nayarit ; saldo blanco en Jalisco
11:11 Huracán “Roslyn” pierde intensidad y baja a categoría 1
10:43 VIDEOS Y FOTOS: Así impactó el huracán “Roslyn” en varios estados del país.
10:20 La Coordinación Nacion al de Protección Civil informó que CFE atiende las afectaciones por cortes de energía eléctrica que se ocasionaron por la presencia de Roslyn en zonas en Nayarit y Jalisco.
09:36 Suspenden clases en Nayarit ante llegada del huracán “Roslyn”
09:11 Por “Roslyn”, desalojan a familias y cierran playas en dos municipios de Sinaloa
08:54 Frente frío 5 ingresa este domingo al noreste de México.
06:20 “Roslyn” toca tierra en Santiago Ixcuintla, Nayarit, como huracán categoría 3
Sigue la trayectoria de "Roslyn" EN VIVO
Suscríbete aquí para recibir directo en tu correo nuestras newsletters sobre noticias del día
rdmd
Noticias según tus intereses
[Publicidad]
[Publicidad]










