
El primer ministro de Antigua y Barbuda, Gaston Browne, dijo que el paso de Irma dañó severamente gran parte de las viviendas de este pequeño territorio de las Antillas Menores; hay al menos un muerto

El primer ministro de Antigua y Barbuda, Gaston Browne, dijo que el paso de Irma dañó severamente gran parte de las viviendas de este pequeño territorio de las Antillas Menores; hay al menos un muerto

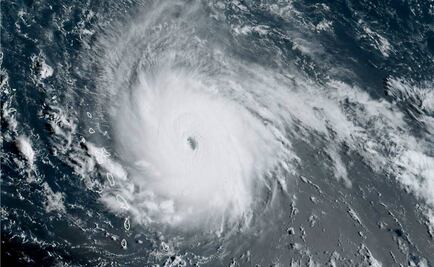
El huracán categoría 5 desató hoy su furia contra el Caribe, dañando viviendas y causando inundaciones mientras se dirige hacia Puerto Rico, República Dominicana, Haití, Cuba y el sur de Florida.

Científicos prevén que los ciclones aumenten su intensidad debido al calentamiento del planeta; explican que estos fenómenos se alimentan de la energía que desprenden los océanos

El "extremadamente peligroso" Irma descargó hoy su furia sobre las Antillas Menores y se prevé que esta tarde o noche llegue al norte de Puerto Rico, para seguir hacia República Dominicana, Cuba, Bahamas y el sur de Florida

El huracán categoría 5 desató hoy su furia contra el Caribe, dañando viviendas y causando inundaciones mientras se dirige hacia Puerto Rico, República Dominicana, Haití, Cuba y el sur de Florida

Se trata del primer meteoro de esa intensidad que golpea las Antillas francesas

El intenso huracán pasará por Puerto Rico, República Dominicana, las Bahamas, el norte de Cuba y llegará a Florida a finales de semana

El Centro Nacional de Huracanes prevé que se convierta en huracán el próximo viernes; "José” se encuentra a 2 mil 420 kilómetros al este de las Antillas Menores

El huracán, el cuarto de la temporada ciclónica en el Atlántico, presenta vientos máximos sostenidos de 240 kilómetros por hora y se encuentra a 515 kilómetros al este de las islas de Sotavento

El Centro Nacional de Huracanes de EU prevé que el fenómeno toque tierra el martes por la noche cerca o sobre el norte de las Islas de Sotavento; el gobernador de Florida, Rick Scott, declaró en emergencia a todos los condados del estado