
Dorian arrasa islas en las Bahamas
Las Ábaco sufren inundaciones históricas; el huracán, categoría cinco, se dirige a Florida

Las Ábaco sufren inundaciones históricas; el huracán, categoría cinco, se dirige a Florida

La oficina del Servicio Meteorológico Nacional de Birmingham aclaró un tuit que el presidente de EU emitió con respecto al paso del huracán, categoría 5, por las costas estadounidenses

"Los estadounidenses son fuertes, resueltos y resilientes, y nos apoyaremos los unos a los otros", dijo el presidente de EU ante autoridades de Gestión de Emergencias; pidió rezar por las personas de las Bahamas ante la llegada del meteoro

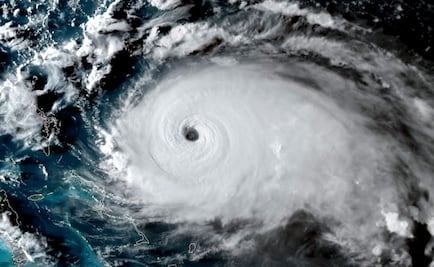
El ojo del poderoso huracán de categoría 5 tocó tierra este domingo en el Cayo Elbow, en las islas Ábaco del archipiélago de Bahamas; piden a la población abandonar la zona

El Centro Nacional de Huracanes de EU informó que el meteoro tocó tierra en la parte nororiental de Bahamas, con vientos máximos sostenidos de 295 kilómetros por hora

Se prevé que este domingo pegue en el noreste de las Islas Bahamas con vientos de 260 kilómetros por hora

El Centro Nacional de Huracanes advirtió que se espera que el potente ciclón impacte duramente en el noreste de las islas

Meteorólogos esperan que el huracán, cada vez más fuerte, avance por la costa sudeste de EU permaneciendo cerca de Florida, bordeando Georgia, con la posibilidad de tocar tierra el miércoles, y luego continuar hacia Carolina del Sur el jueves por la mañana

"(Dorian) Se está moviendo y es muy difícil de predecir, excepto que es uno de los mayores y más fuertes (huracanes) que hemos visto en décadas. ¡Cuídense!", pidió el mandatario estadounidense

El Centro Nacional de Huracanes de Estados Unidos afirmó que el meteoro se convirtió en un huracán "extremadamente peligroso", con vientos de 215 kilómetros por hora