
Guerrero, Oaxaca y Chiapas presentarán lluvias intensas por la onda tropical 25 este domingo
También te decimos en qué regiones hará más calor este 3 de septiembre

También te decimos en qué regiones hará más calor este 3 de septiembre

La temporada de viento y bajas temperaturas ya está aquí

En contraste, continuará el ambiente muy caluroso en el noroeste, norte y noreste de la República Mexicana, con temperaturas máximas superiores a 40 °C


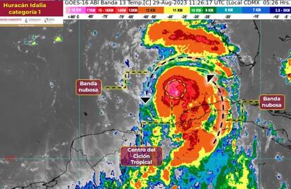
El ciclón continuará alejándose y dejará de afectar al país al final de este día

Aquí te decimos hacia dónde se dirige el huracán, ahora categoría 1

El huracán Fernanda del Océano Pacífico se desplazará hacia el oeste, alejándose del país y sin afectarlo

De acuerdo con el pronóstico de Conagua, se mantendrá el ambiente vespertino cálido a caluroso en la mayor parte del país
Por otra parte, el monzón mexicano ocasionará lluvias fuertes y posible caída de granizo en Sonora, Chihuahua, Durango y Sinaloa

El huracán “Dora” sigue alejándose de costas mexicanas y no representa un peligro para el país