[Publicidad]
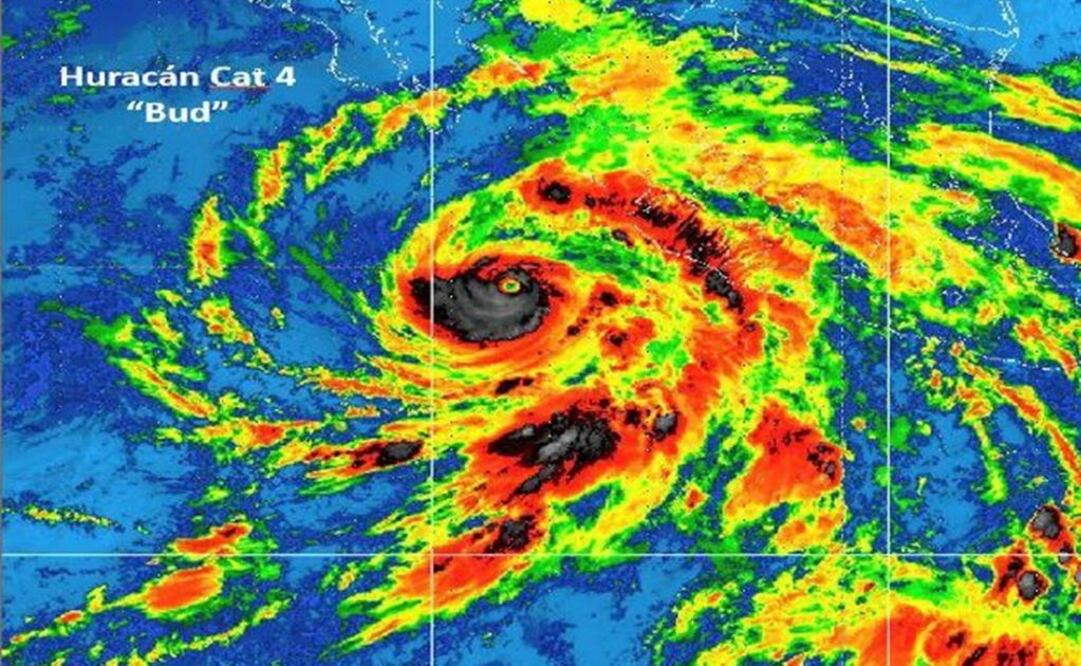
El Servicio Meteorológico Nacional ( SMN ) informó esta madrugada que el huracán Bud se ha intensificado a la categoría 4 de la escala Saffir-Simpson.
Explicó que sus bandas nubosas favorecen el potencial de lluvias intensas a puntuales torrenciales en Jalisco, Colima, Michoacán y Nayarit, y puntuales intensas en Sinaloa y Durango.
En el aviso más reciente emitido por el organismo dependiente de la Comisión Nacional del Agua (Conagua) precisó que el huracán se ubica a 360 kilómetros al oeste-suroeste de Playa Perula, Jalisco, y a 365 kilómetros al suroeste de Cabo Corrientes, Jalisco, y a 560 kilómetros al sur-sureste de Cabo San Lucas, Baja California Sur.
Indicó que Bud registra vientos sostenidos de 215 kilómetros por hora y rachas de 260 kilómetros por hora, con desplazamiento hacia el noroeste a 11 kilómetros por hora.
Además sus bandas nubosas favorecen potencial de tormentas intensas a torrenciales en Jalisco, Colima, Michoacán y Nayarit; tormentas muy fuertes a puntuales intensas en Durango y Sinaloa; y tormentas fuertes a puntuales muy fuertes en Zacatecas, Guanajuato, Aguascalientes y Guerrero.
También el fenómeno natural ocasiona rachas de viento de 60 a 80 kilómetros por hora y oleaje elevado de tres a cinco metros de altura en las costas de Michoacán, Colima y Jalisco y de dos a tres metros de altura en las costas de Nayarit y Guerrero.
Con estas condiciones climáticas, el Meteorológico Nacional recomendó a la población en general extremar precauciones en las zonas de los estados mencionados por lluvias, viento y oleaje (incluyendo la navegación marítima) y atender las recomendaciones emitidas por las autoridades del Sistema Nacional de Protección Civil, en cada entidad.
cg
[Publicidad]
Más información

Autopistas
Cuánto cuesta el Volkswagen Taos 2026 más barato

Universal Deportes
Canelo Álvarez advierte a Christian Mbilli: "Aunque tuviera 50 años no me ganarías"

Metrópoli
Vinculan a proceso a sujeto por feminicidio y tentativa de homicidio por ataque contra pareja en la Cuauhtémoc

Descubre y Compra
Hot Sale 2026: Amazon México adelanta ofertas con estos productos con hasta 58% de descuento






