Más Información

¿De qué trata “El Del Palenque”, corrido dedicado a “El Mencho”?; excandidato de Verde y PT lo pide y canta en plena fiesta

¿Quién es Pedro Segura?; excandidato de Verde y PT desata polémica tras pedir y cantar canción dedicada a "El Mencho"
Hace solo unas semanas, el Servicio Meteorológico Nacional de la Administración Nacional Oceánica y Atmosférica (NOAA) advirtió que la temporada de huracanes de este 2024 sería especialmente intensa, extendiéndose del 1 de junio al 30 de noviembre.
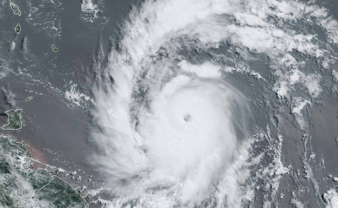
No pasó mucho tiempo antes de que esta predicción se materializara: antes de finalizar junio, Beryl ya se había convertido en un huracán de categoría 4, y en cuestión de días, alcanzó la categoría 5.

Este incremento inesperado en la intensidad de Beryl se debe a una serie de condiciones meteorológicas ideales para la formación de huracanes. Destacan especialmente la oscilación de la temperatura del océano y el fenómeno de La Niña, que han incrementado las temperaturas en el Atlántico, favoreciendo el desarrollo de tormentas peligrosas, particularmente en el Caribe.
Lee también: Huracán Beryl ¿qué significa que Yucatán esté en alerta azul?
Las predicciones de la NOAA sugieren que, durante este verano de 2024, la cuenca del Atlántico podría experimentar entre 17 y 25 tormentas, de las cuales entre 8 y 13 podrían convertirse en huracanes, y de 4 a 7 de ellos alcanzarían categorías superiores a 3.
¿Por qué es distinto este huracán?
Beryl es notable no solo por ser el primer ciclón tropical de la cuenca del Atlántico este año, sino también por ser el primer huracán registrado en junio que alcanza la categoría 4. Esta aparición inusualmente temprana es significativa, ya que los huracanes de mayor intensidad suelen desarrollarse cerca de agosto. Además, Beryl se ha intensificado rápidamente desde el 30 de junio, alcanzando la categoría 5 el 1 de julio, con vientos que superan los 195 km/h.
De acuerdo con National Geographic, este fenómeno puede atribuirse al calentamiento global y al cambio climático, que han exacerbado las condiciones para la formación de huracanes. Las ráfagas de Beryl y las marejadas ciclónicas que lo acompañan podrían provocar inundaciones y daños catastróficos en las zonas costeras.
Lee también: Huracán Beryl: así puedes seguir su trayectoria en tiempo real desde Google
¿Hacia dónde se dirige el Huracán Beryl?
Actualmente, Beryl se mueve hacia el centro y este del Caribe, intensificando su actividad. Las islas de Barlovento, incluyendo Barbados, Santa Lucía, San Vicente y las Granadinas, Granada y Tobago, están bajo aviso de amenaza. Las autoridades locales instan a los habitantes a prepararse identificando refugios, preparando kits de emergencia y asegurando puertas y ventanas.
República Dominicana y Haití están bajo vigilancia de Tormenta Tropical debido a los efectos de Beryl, mientras que Jamaica, las Islas Caimán y otras áreas del noroeste del Caribe podrían recibir avisos similares en los próximos días. No obstante, los últimos datos de la NOAA indican que Beryl podría comenzar a debilitarse ligeramente al girar hacia el oeste-noreste al alcanzar el Caribe occidental.
Este huracán, tan temprano y poderoso, desafía nuestras expectativas y recalca la necesidad de mejorar nuestras predicciones y respuestas ante fenómenos climáticos extremos.
También te interesará:
Día del Orgullo LGBT+ 2024: ¿Por qué se conmemora cada 28 de junio?
Yulay desata caos en taquería El Califa de León tras comprar 450 tacos: "le exageraste"
Únete a nuestro canal ¡EL UNIVERSAL ya está en Whatsapp!, desde tu dispositivo móvil entérate de las noticias más relevantes del día, artículos de opinión, entretenimiento, tendencias y más
aov/aosr
Noticias según tus intereses
[Publicidad]
[Publicidad]









